CAD频道
CAD图库
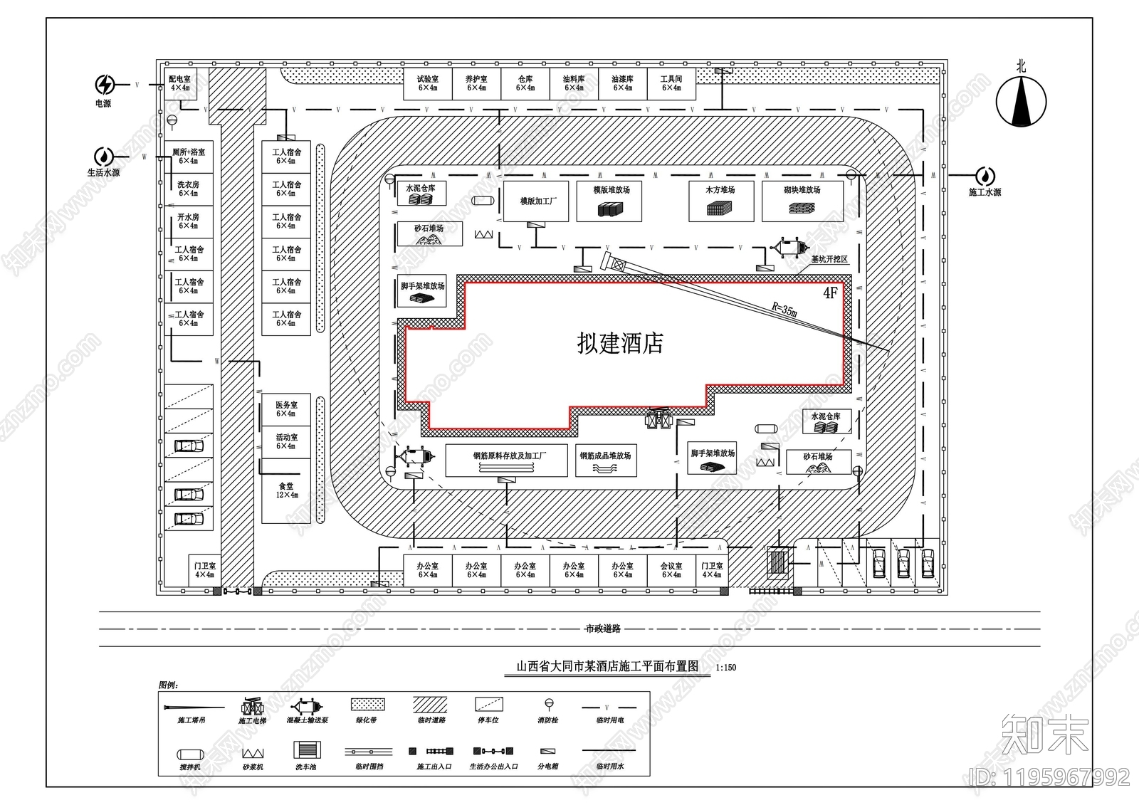
建筑平面布置图 施工现场布置图 施工现场平面布置 施工平面布置图 施工组...
建筑平面布置图CAD下载
ID: 1195967992
复制
上传作者
嫩牛五方【互】
上传时间
2025-05-21
文件大小
0.11M
设计风格:
--
CAD版本:
CAD2010
包含文件:
CAD
授权
独家
立即下载
收藏
分享
举报
相关推荐
综合
建筑平面图
建筑平面布置图
顶棚平面图
地面平面图
建筑改建