CAD频道
CAD图库
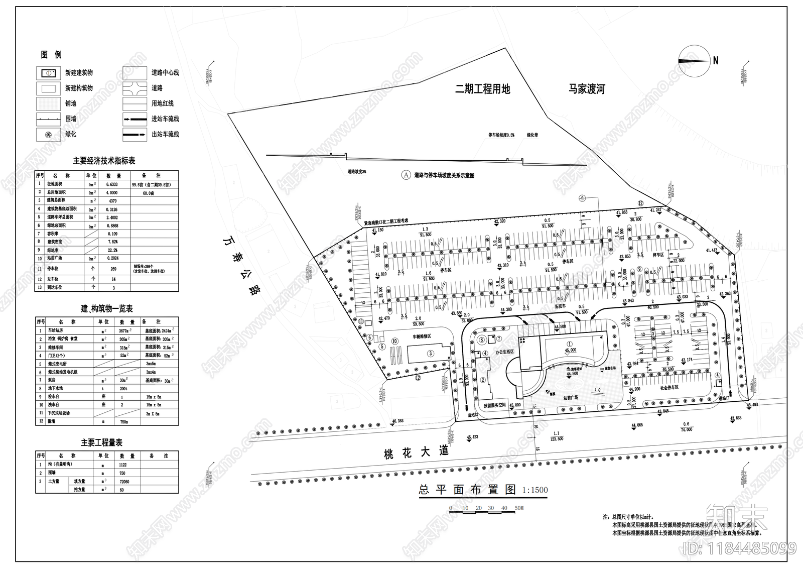
现代客运站 四层客运站参考 平立剖全套图纸 施工图
1/
5
Previous
Next
现代客运站CAD下载
ID: 1184485099
复制
上传作者
SR設計所(互关)
上传时间
2025-01-16
文件大小
0.72M
设计风格:
--
CAD版本:
天正CAD8.0
包含文件:
CAD
授权
独家
立即下载
收藏
分享
举报
相关推荐
综合
交通建筑
客运站
机场建筑
加油站
服务区
驿站
其他交通建筑
车站