CAD频道
CAD图库
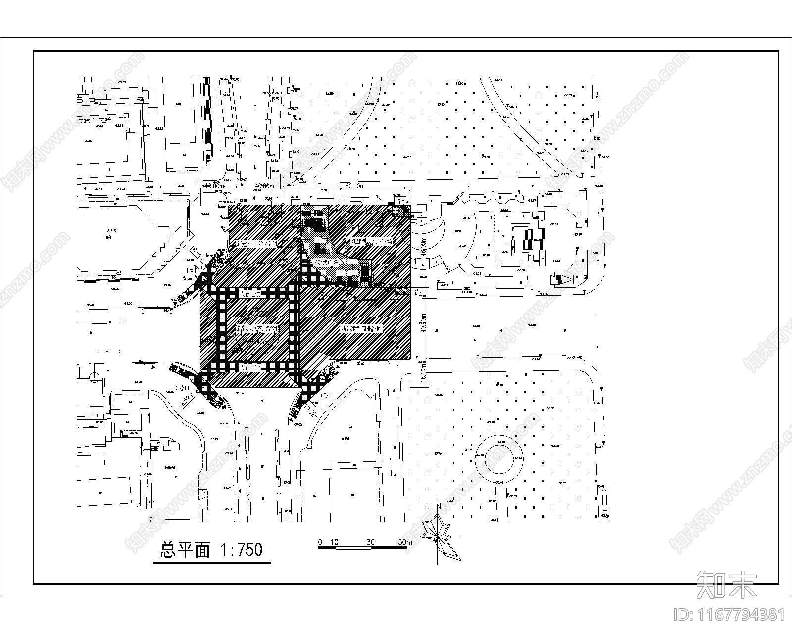
建筑平面图 地下过街道 地下商场设计方案 施工图
1/
5
Previous
Next
建筑平面图CAD下载
ID: 1167794381
复制
上传作者
撞大墙啦
上传时间
2024-07-23
文件大小
0.74M
设计风格:
--
CAD版本:
CAD2004
包含文件:
CAD
授权
普通
立即下载
收藏
分享
举报
相关推荐
综合
平立面系统图
建筑平面图
平面图
立面图/剖面图
家装平面图