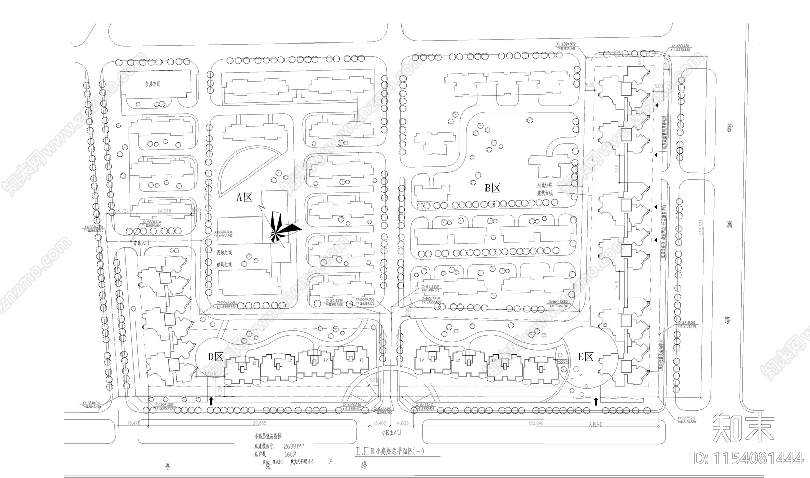
海景花园小区施工图下载【ID:1154081444】

海景花园小区CAD下载

ID: 1154081444
复制
上传作者
<大橙子><大橙子>

上传时间2024-02-22

文件大小78.75M

设计风格:现代简约

CAD版本:CAD2015

包含文件:CAD

授权独家

立即下载
收藏
分享
举报
相关推荐
综合
平面图
景观平面图
工装平面图
规划平面图
其他平面图
小区平面图